Bão số 9

Cập nhật nhanh thông tin bão số 9: vị trí, hướng di chuyển, cảnh báo mưa lớn, lũ quét, sạt lở và khuyến cáo ứng phó của cơ quan khí tượng.

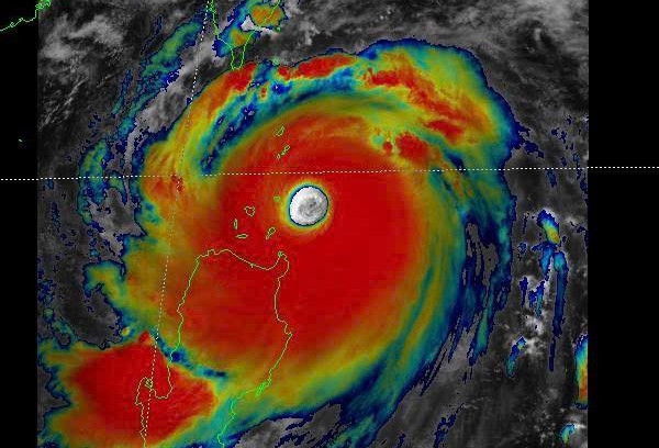
Siêu bão Ragasa giữ cấp 17 nhiều giờ, cường độ cấp 12 khi vào biển Quảng Ninh - Ninh Bình

Siêu bão Ragasa sắp vào Biển Đông, hiện có hai kịch bản về cường độ và hướng di chuyển, nhưng khu vực chịu tác động chính vẫn là Bắc Bộ và Bắc Trung Bộ. Dự báo 13h ngày 25/9, bão trên vùng biển Quảng Ninh - Ninh Bình, cường độ cấp 12-13.

Tin mới nhất về siêu bão Ragasa: Mạnh cực đại cấp 17, vào Biển Đông tối nay 22/9

Siêu bão Ragasa đang ở thời điểm mạnh cực đại cấp 17 và dự báo tối nay đi vào Biển Đông, trở thành cơn bão số 9. Khoảng sáng 25/9, bão có khả năng vào Vịnh Bắc Bộ; sau đó, ảnh hưởng trực tiếp đến đất liền nước ta.

Siêu bão Ragasa vào Biển Đông có thể mạnh như Yagi, tỉnh nào tâm điểm đổ bộ?

Bão Ragasa được dự báo đạt cấp siêu bão khi vào Biển Đông khoảng tối 22/9; vào Vịnh Bắc Bộ giảm còn cấp 12-14. Chuyên gia nhận định, ngày 25/9, bão vào đất liền nước ta, trọng tâm Quảng Ninh - Hà Tĩnh.

Bão Ragasa có thể đạt cực đại cấp 17, dự báo thời điểm đi vào Vịnh Bắc Bộ

Bão Ragasa khi vào Biển Đông sẽ mạnh cấp 17, cấp siêu bão (khoảng 220km/h). Dự báo của đài khí tượng Việt Nam và quốc tế khá tương đồng về đường đi của bão tới thời điểm vào Vịnh Bắc Bộ sáng 25/9.

Tin mới nhất về bão Ragasa: Sắp mạnh thành siêu bão, hai kịch bản khi vào Biển Đông

Bão Ragasa sẽ mạnh lên thành siêu bão với gió mạnh cấp 16, giật trên cấp 17 khi vào Biển Đông ngày 23/9. Hướng di chuyển của bão còn diễn biến phức tạp, cơ quan khí tượng dự báo hai kịch bản.

Hai cơn bão liên tiếp, thời tiết cả nước nhiều nơi có thể biến động 'dị thường'

Hai cơn bão liên tiếp xuất hiện trên Biển Đông sẽ có tác động đến thời tiết đất liền trong 7 ngày tới, đặc biệt là bão Ragasa. Dự báo, ở miền Bắc xảy ra 2 đợt mưa lớn trong các ngày từ 22-23/9 và 25-26/9.

Bão Ragasa tăng cấp 'thần tốc', di chuyển nhanh trước khi vào Biển Đông

Bão Ragasa tiếp tục được dự báo mạnh thành cấp siêu bão trước khi tiến vào Biển Đông khoảng ngày 23/9. Khu vực Bắc Biển Đông (bao gồm đặc khu Hoàng Sa) biển động dữ dội, sóng cao trên 10m.

Tin mới nhất về bão Ragasa: Cường độ có thể đạt cấp siêu bão, tiến vào Biển Đông

Bão Ragasa mới hình thành trên vùng biển phía Đông Philippines, dự báo có thể đạt cường độ cấp siêu bão. Cơn bão này khả năng ảnh hưởng trực tiếp đến đất liền nước ta khoảng ngày 24-26/9.

Lý giải bất ngờ về bão khi gặp 'khắc tinh' không khí lạnh

Nhận định về cơn bão Man-yi, trước khi vào Biển Đông đạt cấp siêu bão, các chuyên gia khí tượng cho biết, tương tác với không khí lạnh sẽ làm cho cường độ và hướng di chuyển của bão có nhiều thay đổi và yếu đi, vậy vì sao có hiện tượng này?

Bão số 9 suy yếu thành áp thấp nhiệt đới, khả năng tan luôn trên biển

Bão số 9 đã suy yếu thành áp thấp nhiệt đới, cách quần đảo Hoàng Sa khoảng 180km về phía Bắc. Những giờ tới, áp thấp nhiệt đới tiếp tục suy yếu nhanh thành vùng áp thấp và khả năng tan trên biển.

Tin mới nhất về bão số 9: Cường độ cấp 11, cách quần đảo Hoàng Sa 350km

Bão số 9 Man-yi mạnh cấp 9, giật cấp 11, cách quần đảo Hoàng Sa 350km và đang suy yếu. Dự báo, khoảng ngày mai (20/11), bão thành vùng áp thấp trên vùng biển ngoài khơi Trung Trung Bộ.

Bản tin sáng 18/11: Bắt hung thủ giết người sau 1 giờ gây án ở Đồng Nai

Bản tin sáng 18/11: Bắt hung thủ giết người sau 1 giờ gây án ở Đồng Nai; Hà Nội 3 ngày tới: Không khí lạnh tràn về; Vườn quốc gia Ba Vì đông 'nghẹt thở', khách chen chân săn mây, ngắm hoa dã quỳ; Rộ tin ông Trump muốn đưa hàng loạt quan chức ra tòa

Bão số 9 vào Biển Đông, gặp không khí lạnh suy yếu trên biển Trung Trung Bộ

Bão Man-yi đã đi vào Biển Đông, trở thành cơn bão số 9 trong năm nay. Do tương tác với không khí lạnh, bão giảm còn cấp 11-12 và tiếp tục suy yếu trên vùng biển Trung Trung Bộ.

Bão Man-yi giảm 2 cấp, sắp di chuyển vào Biển Đông thành bão số 9

Bão Man-yi đã đi vào đất liền phía Đông đảo Lu Dông (Philippines) với cường độ không còn là siêu bão sau khi giảm 2 cấp. Khoảng đêm nay đến rạng sáng mai (18/11), bão vào Biển Đông trở thành cơn bão số 9.

Bản tin sáng 15/11: Ô tô ‘điên’ tông hàng loạt xe ở Bình Dương, 1 người tử vong

Bản tin sáng 15/11: Ô tô ‘điên’ tông hàng loạt xe ở Bình Dương, 1 người tử vong; Bão Usagi khả năng vào Biển Đông hôm nay, trở thành bão số 9; Những hành vi chưa đẹp của du khách ở Bảo tàng Lịch sử Quân sự

Bão Usagi khả năng vào Biển Đông hôm nay, trở thành bão số 9

Bão Usagi sẽ vượt qua đảo Lu Dông (Philippines) vào Biển Đông, nhưng sau đó quay ngược ra, ít có khả năng ảnh hưởng tới đất liền nước ta. Ngoài khơi Philippines đang có bão Manyi hoạt động, dự báo có thể vào Biển Đông.

Bản tin trưa 14/11: Sập web, cháy vé 2 concert Anh trai, điều kỳ lạ đang xảy ra ở showbiz Việt

Bản tin trưa 14/11: Sập web, cháy vé 2 concert Anh trai, điều kỳ lạ đang xảy ra ở showbiz Việt; Bão số 8 suy yếu, khả năng cao xuất hiện bão số 9 đầu tuần tới; Tài xế xe ôm công nghệ che biển số, đi ngược chiều, bị CSGT gửi yêu cầu khóa app

Bão số 8 suy yếu, khả năng cao xuất hiện bão số 9 đầu tuần tới

Bão số 8 hoạt động trên khu vực Bắc Biển Đông có dấu hiệu suy yếu dần. Phía đông Philippines có 2 cơn bão, khả năng một trong 2 cơn này sẽ vào Biển Đông trở thành cơn bão số 9 vào đầu tuần tới.

Triều cường lớn bất thường sau bão số 9 khiến cả khu phố 'tháo chạy'

Mặc dù bão số 9 không vào đất liền nhưng vẫn gây sóng lớn kết hợp với triều cường lớn bất thường, khiến người dân cả khu phố Lê Duẩn (TP Tuy Hòa, Phú Yên) phải khiêng tài sản "tháo chạy".

Dự báo thời tiết 20/12: Bão mạnh quần thảo Biển Đông, miền Trung mưa rất to

Dự báo thời tiết 20/12, miền Bắc hanh khô, trời rét đến rét đậm. Bão quần thảo Biển Đông gây mưa to đến rất to ở các tỉnh Thừa Thiên Huế đến Phú Yên.