Thời tiết

Thông tin về thời tiết hôm nay, ngày mai, tình hình mưa lớn hay nắng nóng tại 34 tỉnh thành phố được cập nhật nhanh nhất chính xác nhất hiện nay tại VietNamNet

Dự báo thời tiết 19/11/2025: Không khí lạnh thấm sâu, miền Bắc rét khô rõ rệt

Dự báo thời tiết 19/11/2025, không khí lạnh mạnh bao phủ từ miền Bắc đến Trung Trung Bộ gây mưa rét. Từ khoảng 8-9h sáng, miền Bắc hết mưa, chuyển rét khô rõ rệt. Từ Hà Tĩnh đến Khánh Hòa mưa lớn kéo dài.

Dự báo thời tiết 18/11/2025: Không khí lạnh mạnh tràn về, Hà Nội rét nhất 12 độ

Dự báo thời tiết 18/11/2025, đợt không khí lạnh rất mạnh bắt đầu tràn về, miền Bắc chuyển mưa rét, có nơi rét đậm, rét hại. Từ Hà Tĩnh đến Khánh Hòa vẫn mưa lớn tầm tã. Nam Bộ mưa to cục bộ.

Mưa lớn đến gần 1.000mm/ngày, cả trăm xã phường đối mặt lũ quét, sạt lở đất

24 giờ qua, nhiều nơi ghi nhận lượng mưa rất lớn như Bình Điền (Huế) gần 1.000mm, Sông Hinh (Đắk Lắk) 750,3mm và Sông Trà (Đà Nẵng) 738,8mm. Dự báo, mưa lớn còn tiếp diễn ở Hà Tĩnh - Khánh Hòa, nguy cơ lũ quét, sạt lở đất tại hàng trăm xã, phường.

Không khí lạnh khắc nghiệt: Miền Bắc rét dữ dội nhất từ đầu mùa, Trung Bộ oằn mình trong mưa lớn

Khoảng chiều tối nay (17/11), không khí lạnh mạnh bắt đầu tràn về miền Bắc, được các chuyên gia đánh giá là đợt rét dữ dội nhất từ đầu mùa Đông. Cùng lúc, miền Trung mưa lớn với diễn biến còn phức tạp.

Dự báo thời tiết 17/11/2025: Miền Bắc đón không khí lạnh mạnh, Trung Bộ mưa lớn xối xả

Dự báo thời tiết 17/11/2025, đợt không khí lạnh rất mạnh bắt đầu tràn về khiến miền Bắc có mưa rào, trời chuyển rét. Từ Hà Tĩnh đến Khánh Hòa có mưa lớn; trọng tâm là Hà Tĩnh - Đà Nẵng và phía Đông các tỉnh Quảng Ngãi và Gia Lai.

Không khí lạnh rất mạnh sắp tràn xuống miền Bắc, Hà Nội giảm liền 8 độ

Khoảng chiều và đêm mai (17/11), không khí lạnh mạnh bắt đầu tràn về khiến miền Bắc rét đậm, có nơi rét hại. Nhiệt độ Hà Nội có thể giảm liền 8 độ; trong khi miền Trung mưa lớn xối xả và kéo dài.

Dự báo thời tiết 16/11/2025: Hà Nội có mưa trước khi đón không khí lạnh mạnh

Dự báo thời tiết 16/11/2025, Hà Nội nhiều mây, có mưa vài nơi, từ đêm 17/11 chuyển rét. Nhiều tỉnh, thành miền Trung như Đà Nẵng, Quảng Ngãi… có mưa to đến rất to.

Dự báo thời tiết 15/11/2025: Miền Bắc trời nắng trước khi rét dưới 10 độ

Dự báo thời tiết 15/11/2025, miền Bắc ngày nắng đến 28 độ trước khi đón không khí lạnh tăng cường. Từ đêm 15/11, tại một số tỉnh, thành miền Trung có mưa to đến rất to.

Diễn biến về không khí lạnh cực mạnh: Miền Bắc rét căm căm, Hà Nội còn 13 độ

Đợt không khí lạnh tăng cường rất mạnh từ 17/11, tạo ra thời tiết rất khác biệt giữa miền Bắc và miền Trung. Trong đó, miền Bắc giảm thấp nhất có nơi dưới 10 độ. Trung Bộ lại mưa lớn dữ dội.

Dự báo thời tiết 14/11/2025: Hà Nội đêm rét nhất 16 độ, ban ngày nắng hanh

Dự báo thời tiết 14/11/2025, không khí lạnh tiếp tục ảnh hưởng khiến miền Bắc và Thanh Hóa - Hà Tĩnh giảm nhiệt, thấp nhất dưới 14 độ, ngày nắng hanh. Từ Trung Bộ, cao nguyên Trung Bộ đến Nam Bộ cũng chủ yếu có nắng, mưa giông vài nơi.

Không khí lạnh tiếp tục tăng cường, Huế - Đà Nẵng sắp mưa lớn đến 700mm

Không khí lạnh tăng cường liên tiếp, nhiệt độ ở miền Bắc có nơi thấp dưới 13 độ. Dự báo, từ 16/11, một đợt không khí lạnh mạnh tiếp tục tràn về khiến Bắc Bộ rét diện rộng. Từ đêm 15/11, miền Trung mưa lớn nhiều nơi.

Dự báo thời tiết 13/11/2025: Không khí lạnh liên tiếp, miền Bắc ngày nắng hanh, đêm rét

Dự báo thời tiết 13/11/2025, không khí lạnh yếu tiếp tục ảnh hưởng khiến miền Bắc ngày nắng hanh, đêm và sáng sớm trời rét. Trung Bộ ngày nắng, có mưa vài nơi. Riêng Nam Bộ có mưa to cục bộ.

Không khí lạnh mạnh: Miền Bắc có thể xuất hiện sương muối, Trung Bộ mưa lớn

Từ 16-21/11, một đợt không khí lạnh mạnh khả năng ảnh hưởng đến các tỉnh miền Bắc và Trung Bộ. Hiện tượng này có thể gây ra sương muối tại vùng núi phía Bắc và mưa lớn trên diện rộng ở Trung Bộ.

Bão số 14 Fung-Wong suy yếu nhanh, tăng tốc rời Biển Đông trong hôm nay

Bão số 14 Fung-Wong suy yếu còn cấp 8-9, giảm 4 cấp sau hai ngày di chuyển vào Biển Đông. Hiện bão dần tăng tốc (10-15km/h) và có xu hướng đi ra khỏi Biển Đông trong 24 giờ tới.

Dự báo thời tiết 12/11/2025: Bão Fung-Wong ra khỏi Biển Đông, không khí lạnh tràn về

Dự báo thời tiết 12/11/2025, bão số 14 Fung-Wong sẽ đi ra khỏi Biển Đông. Miền Bắc đón không khí lạnh tăng cường, thời tiết ngày nắng hanh, đêm se lạnh. Các khu vực còn lại ổn định với ngày nắng, có mưa vài nơi.

Biển Đông có thể xuất hiện 1-2 cơn bão, áp thấp nhiệt đới trong tháng tới

Trong tháng tới, Biển Đông khả năng xuất hiện 1-2 cơn bão hoặc áp thấp nhiệt đới, có thể ảnh hưởng đến đất liền nước ta. Không khí lạnh gia tăng liên tiếp. Từ Nam Quảng Trị đến Khánh Hòa có thể xuất hiện các đợt mưa lớn diện rộng.

Miền Bắc đón không khí lạnh liên tiếp, diễn biến bất ngờ thời tiết ở TPHCM

Từ giữa đến cuối tháng 11, TPHCM sẽ chịu ảnh hưởng của hai đợt không khí lạnh mạnh từ miền Bắc khiến thời tiết chuyển se lạnh, đặc biệt vào các ngày 15-16/11 và từ 19-20/11 trở đi.

Tin mới nhất về bão số 14 Fung- Wong: Tiếp tục đổi hướng và dần ra khỏi Biển Đông

Bão số 14 Fung-Wong giảm còn cấp 12, giật cấp 15, tiếp tục đổi hướng liên tục để đi ra khỏi Biển Đông. Vùng biển phía Đông khu vực Bắc Biển Đông vẫn có sóng cao đến 9m, biển động dữ dội.

Đợt không khí lạnh mạnh sắp ảnh hưởng khiến miền Bắc chuyển rét rõ rệt

Miền Bắc sẽ chuyển khô ráo từ 12/11, chấm dứt mưa, nồm ẩm. Đợt không khí lạnh dự kiến ảnh hưởng từ 16-17/11 được nhận định là khá mạnh, khiến nền nhiệt Bắc Bộ giảm sâu, trời chuyển rét rõ rệt.

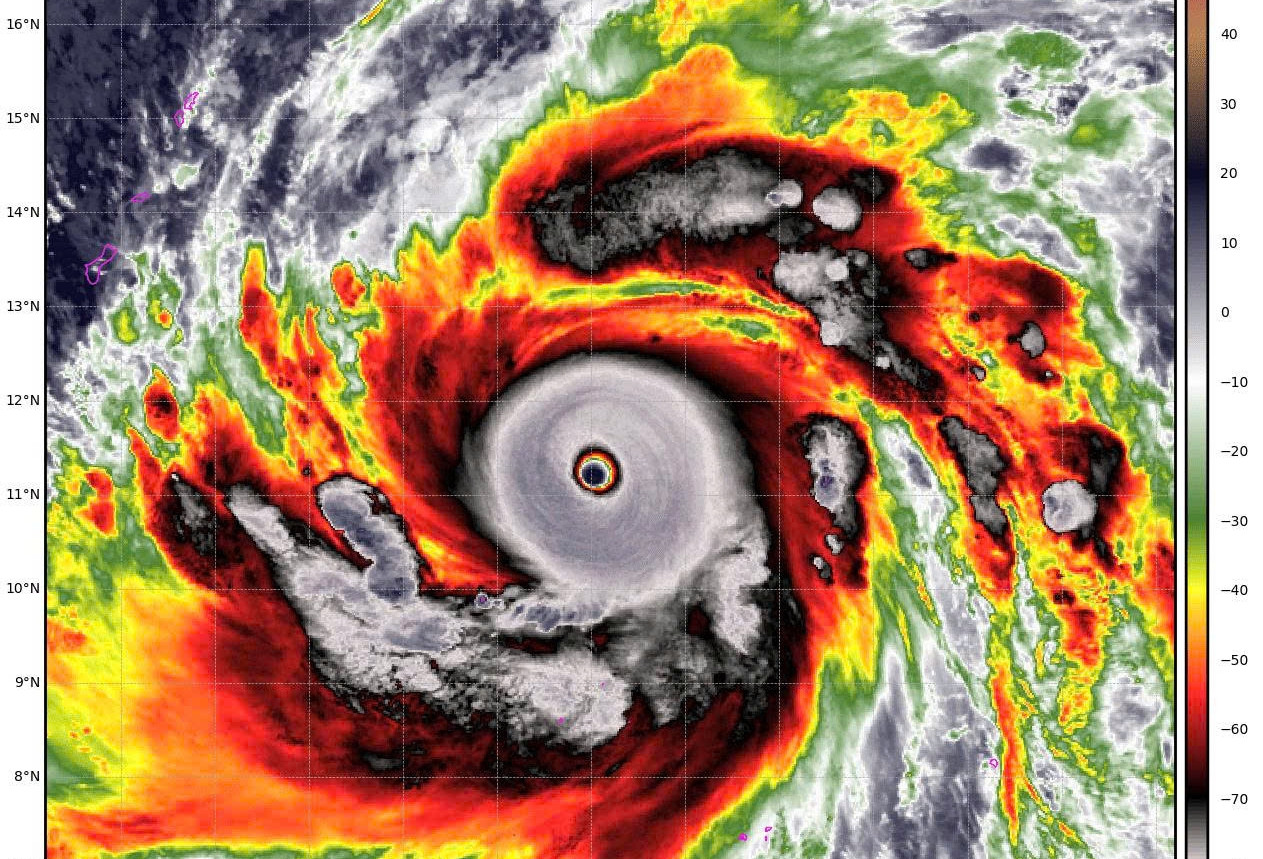
Tin mới nhất về bão số 14 Fung-Wong: Mạnh cấp 13, di chuyển chậm lại

Sau khi đi vào Biển Đông trở thành cơn bão số 14, bão Fung-Wong (Phượng Hoàng) giữ nguyên cấp gió mạnh 13, giật cấp 16 và di chuyển chậm lại. Dự báo, trong 24 giờ tới, tâm bão trên vùng biển phía Đông khu vực Bắc Biển Đông.